language 国旗中文网站

web予約 line予約 モニター募集 初診・再診の方はこちら

術後のご相談
お問い合わせ

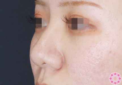
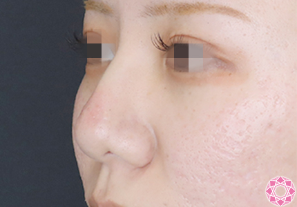
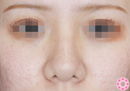
症例写真

「プチ隆鼻術(ヒアルロン酸)」について

施術詳細
ヒアルロン酸注射などで鼻を高く見せます。
料金
プチ隆鼻術(ヒアルロン酸) 12,000円 (税込13,200円)
注意事項
施術時間
5分程度
施術後の通院
必要ありません。
洗顔/入浴/化粧
当日より可能です。
洗髪/シャワー
当日より可能です。
腫れ
ほとんどありません。※個人差があります。
内出血
まれに点状の内出血が出る場合がありますが、お化粧で隠せる程度で、約1~2週間で取れますのでご安心ください。※個人差があります。
  • カテゴリTOPへ
  • 症例写真TOPへ
PAGE TOP

信頼と安心の技術品質の東京形成美容外科

船橋院

ins

〒273-0005
千葉県船橋市本町6-6-1 北翔ビル3階
船橋駅から徒歩3分
京成船橋駅から徒歩5分

銀座院

ins

〒104-0061
東京都中央区銀座3丁目7-16 銀座 NS ビル5階
銀座駅から徒歩1分
銀座1丁目駅から徒歩4分

池袋院

ins

〒171-0022
東京都豊島区南池袋1-22-2 FLCビル9F
池袋駅から徒歩1分

天神駅前院

ins

〒810-0001
福岡県福岡市中央区天神1丁目4−1
西日本新聞会館 15F

無料カウンセリング予約 24時間受付 line受付 無料メール相談
無料カウンセリング予約 24時間受付 line受付 無料メール相談